• 25

『Panasonic TS 系列防水相機大樓』~歡迎各代TS分享


allen217 wrote:
夏天到了!冰在防潮箱...(恕刪)


我也喜歡溯溪啊!不過很少機會去
最近也是有溯溪及浮潛活動..

在考TS2及TS3其中一台..

看到大大的溯溪照..

TS系列果然是好物啊!!

想請問有被水流直接衝擊到嗎??
還是說要儘量避免!!

相機使用有一定的原則..相機拍照有亮有暗..攝影者購買後應詳閱內附說明書
TS2耐水壓也耐摔,
但有的瀑布高度超過十米,
水壓應該也就超過他的負荷,
當然那種大壓力能避免就避免了














都用單手AI模式拍的
所以都很晃~
最後一張是用運動模式拍的
忘記把水珠抖掉

地點:綠島
相機:ts2
其實我覺得拍的蠻清楚的~
當天水就有點混濁混濁
一方面也是技術問題啦..所以有點晃
再來分享墾丁潛水TS2 拍的...希望大家會喜歡














CoffeeCup wrote:
再來分享墾丁潛水TS...(恕刪)



蠻清楚的呢!很棒的紀錄
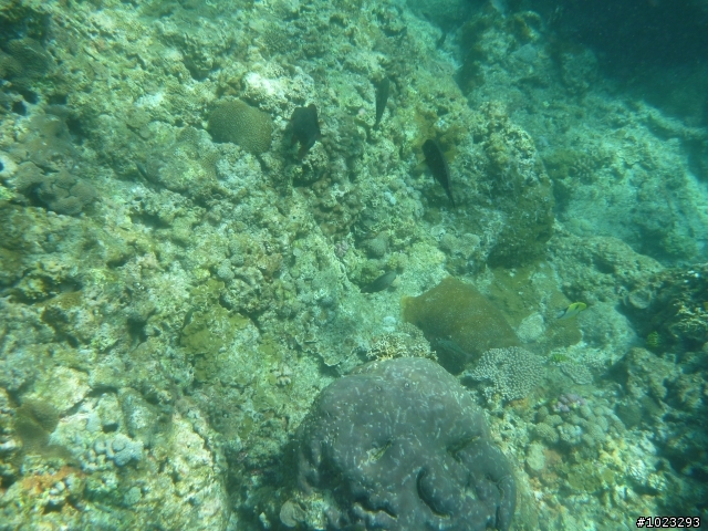
今天熱騰騰剛出爐的新照
希望大家會喜歡...








































CoffeeCup wrote:
今天熱騰騰剛出爐的新...(恕刪)

原來墾丁的水這麼讚!
那是海蛇嗎?

CoffeeCup wrote:
今天熱騰騰剛出爐的新...(恕刪)


很喜歡倒數第二張!
ggyy52090 wrote:
原來墾丁的水這麼讚!...(恕刪)


是呀, 但是要看水況. 這星期在墾丁潛水, 能見度都很差.
不知道是不是颱風夾擊的關係.

那是不是海蛇我也不知道耶. 人現在還在墾丁.
回家再查看看那是啥東西...呵呵
  • 25
內文搜尋
X
評分
評分
複製連結
請輸入您要前往的頁數(1 ~ 25)
Mobile01提醒您
您目前瀏覽的是行動版網頁
是否切換到電腦版網頁呢?