麻煩大大解惑外匯CLA250,感謝

最近購買了加規CLA250 15/3月出廠、里程32000公里。
車商有SUM聯盟,需要去指定SUM保養廠保養才可以啟動保固服務。

疑問車輛保養項目需要針對那些東西做更換?按公里數保養還是一次換掉?請問各個保養里程該換什麼?花費大概多少呢?感謝🙏
麻煩大大解惑外匯CLA250,感謝
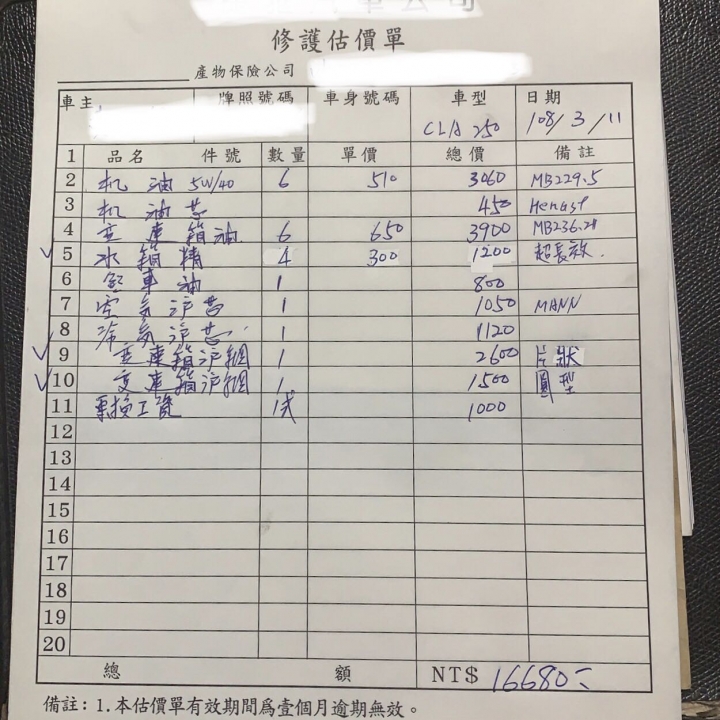
這是高雄SUM保養廠估價單。

因為是人生第一輛賓士車,麻煩大大們幫忙,謝謝。

請問外匯車輛只要固定在專門維修保養賓士車的保養廠就可以了嗎?
2019-03-11 18:40 發佈
文章關鍵字 外匯CLA250
可以下載原廠的保養手冊,自己再思考項目的必要性!會有大小保養建議該換的東西,外面修賓士的超多的,爬文看看!
內文搜尋
X
評分
評分
複製連結
Mobile01提醒您
您目前瀏覽的是行動版網頁
是否切換到電腦版網頁呢?