• 9

哇,開車很花錢,8萬保養談

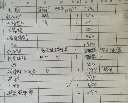
我的日產2011年TIIDA,1.8,過保後,大多在外面保養廠保養,想說8萬多了,開回公司保養,也可以詳細檢查一下。結果,自備機油,還費用4734元,其中工資就1千3。還列了一張要我更換的零件,我還沒有更換。那張都換了又要1萬2千多。

統力電瓶1990
前煞車來令片1988
後煞車來令片1988
工資又要3千5
避震鍰衝墊2360

我正在想有沒有不要那麼多錢的?畢竟也沒有很有錢,高手們有建議嗎?

哇,開車很花錢,8萬保養談
2017-06-27 9:00 發佈
文章關鍵字 8萬
看你自己有沒有很常開車,很常開
為了安全這些開銷是必要的
要是便宜了事
之後車子出問題,你又剛好在車上
運氣好車子壞掉
運氣不好連命都賠掉
你就會後悔為什麼要便宜了事
外面修車行就已經比原廠便宜了
要是真的養不起還是克難點多騎車吧
所以人家都說買車容易養車難


如果不常開,何不把車子賣掉改用租的?
我不少朋友都用租的比買車省多了
買車要養車還要繳燃料稅
要是自己家裡沒有停車位還要去租停車位
不然就是要停路邊冒著車子被偷或是被阿貓阿狗弄出刮痕的風險
日系車 這樣已經很便宜了

歐洲車小保養都要萬元起跳

你開八萬 還不好好保養 拿命開玩笑嗎

不然就賣掉 騎機車不就好了

總不會連機車都不保養吧
你的問題這裡沒人可以給你客觀建議
找個懂車的朋友直接看車子狀況與保養紀錄再比對工單吧...
譬如來令換不換,是看皮還剩多少,工單上看不出來
這還好吧!!8萬本身就是大保養,要更換的東西本來就比較多,這關乎安全性的問題,還是要花的,歐系車就不可能這樣的價錢!!養車要花的錢真的不比買車來得少,這在買車前就應該要有認知,假如還是嫌貴平日用到的車的機會也不多!建議賣掉改租的比較好!反正現在租車公司很多要臨時租車也不是難事!!還可以省了每年的牌照然料稅錢~
mozxcv wrote:
我的日產2011年T...(恕刪)

八萬保養,竟然沒有一項是引擎類的,神單

wessley wrote:
八萬保養,竟然沒有...(恕刪)


換任何零件去信任的修車廠就好.原廠保養的時候都會說這個要換那個要換,這個時間到了,那個有優惠(折完扣還比外面貴)

說好聽是照SOP;但SOP是他們自己訂的.去等於是被宰...
五油三水,
外加輪胎、煞車,這些都是很重要、很重要、很重要的。

買車容易養車難,這句話我不曉得看過幾百次了。
以前保養,換過1次輪胎,也換過1次電瓶,其他如濾心等,該換的也都有換。
多花幾千元換安全還滿便宜的,而且原廠開門做生意要賺錢吧!總有喝咖啡吃餅乾吹冷氣,別太在意
  • 9
內文搜尋
X
評分
評分
複製連結
請輸入您要前往的頁數(1 ~ 9)
Mobile01提醒您
您目前瀏覽的是行動版網頁
是否切換到電腦版網頁呢?